您当前位置: 农业科普> 正文
王教授教你识病认虫之二:苹果病害1
发布时间:2023-09-05

2-1.苹果花腐病之花受害状

2-2.苹果花腐病之花序及果苔叶枯死

2-3.苹果花腐病导致枯梢

2-4.苹果霉心病霉心型病果

2-5.苹果霉心病心腐型病果之一

2-6.苹果霉心病心腐型病果之二

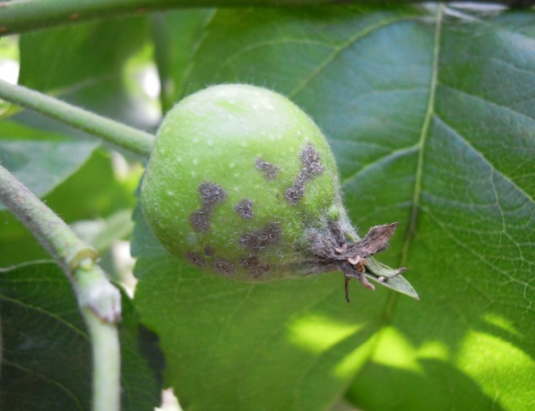
2-7.苹果黑星病之幼果病斑

2-8.苹果黑星病之富士近成熟果受害

2-9.苹果黑星病之导致裂果

2-10.苹果黑星病之叶正面病斑

2-11.苹果黑星病之叶背面病斑

2-12.苹果锈果病至锈果型病果

2-13.苹果锈果病之锈果型严重病果

2-14.苹果锈果病之花脸型病果

2-15.苹果锈果病之混合型病果

2-16.苹果套袋果斑点病之一

2-17.苹果套袋果斑点病之二

2-18.苹果套袋果斑点病之三

2-19.苹果套袋果斑点病之四

2-20.苹果套袋果斑点病之五

2-21.苹果疫腐病之果实受害状

2-22.苹果疫腐病之产生白色绵毛状物

2-23.苹果霉污病之典型病果

2-24.苹果蝇粪病之典型病果

(18luck新利手机版iso 科教兴农中心王江柱)

Baidu
map